Why, you may ask, are we featuring what looks like a plebeian four-door sedan on Barn Finds? I’m glad you asked! Number one, the car appears to be a genuine low-mileage car that’s extremely original. Number two, I’ll bet several of you had grandparents that drove a car just like this or at least very similar to it and wouldn’t mind recapturing some of those memories. Number three, it’s being auctioned here on eBay and bidding is only just over $100 at this point! The car is located in Dowell, Maryland.
Although the few pictures are pretty poor, I don’t see a lot of rust. The tires look completely rotted in these pictures, but the auction listing states it has four new ones now. The seller even offers delivery for a fee. According to them, the car was driven to this spot and left (the classic “ran when parked” statement applies here) but they don’t tell us when. Since they state they are the original owners (I’m guessing original owners’ family) I’d want to inquire to learn more before bidding.
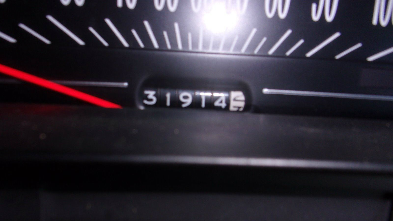
Do you think these are real? I do in this case based on both the interior and exterior. But that also probably means it’s been parked for a very long time.
The interior isn’t perfect (there’s some mildew in there based on some other pictures) but once it’s cleaned up it would be very serviceable. Is that really an uncracked dash pad? And lo and behold, that’s a clutch pedal. Yes, this is actually a “three on the tree” car — effective theft prevention in today’s world!
Under here, the amount of surface rust bothers me a little, but it’s not too excessive. Air conditioning is a welcome extra that I didn’t expect to see, and I’ll bet with a little work the 307 V8 would fire right up. If those miles really are original — do you agree with me that they are? — it should have a lot of life left. What cars did your grandparents drive? Mine were AMC and Oldsmobile fans — let us know what yours drove in the comments below, and tell us if this plain four-door sedan is of interest.











1956 Desoto . It was pearl white and royal blue. Went to the car wash with my Grandfather many times. What a beautiful car!
Had only one grandparent that drove. He drove a black 55 Cadillac. Great car. Huge to a 5 year old.
I like it for what it is. It has the makings for great sleeper with big motor swap, street slicks, AARP and AAA stickers on the bumper…etc.
You nailed it…grandparent, minister, convent motor pool car. If it were black it could have an Amish car for those of the faith that are more liberal.
just bump it up to a 350, 4 spd maybe larger than factory tires HD shocks dog dish caps , leave the rest as is ( spruce up what needs to be done) wouldn’t exactly be a pavement melter, but it will have some scoot!
Looks like a good find, Air conditioning to boot. The 307 w/ the three on the tree should get respectable mileage. Would make a great daily driver. I agree w/ the standard transmission theft deterrent.
For most cars I support 4 doors But I can’t do that with chevelle’s.
I think it ruins the cars lines and the only use for them is the front clip.
This was discussed on a Chevelle forum a few weeks ago when it was previously listed on eBay. I think people pointed out some not so readily apparent issues, if it could be bought cheap enough it might be worth the chance. It didn’t meet reserve last time with a high bid of just under $1,500. That was probably pretty fair, considering that this car is an unknown quantity and that four doors don’t have much value.
Steve R
Steve, do you recall what the issues were?
Three-on-the tree, V8, bench seat, and crank windows – even sports A/C. Those were indeed The Days. My grandparents wouldn’t have been caught in something like this, but my dad sure would’ve. He had a ‘68 Impala with all the same ear-marks… Even with the two extra doors, I am having a real hard time not liking this car. Great find!
No doggie on a spring bouncing in rear window?
Hmm what to do …
Order some two door rear quarters get some 2 door doors and cut the top and order the center ballast for converts and a convertible top assembly and make a convertible 🤠👍🤑🤦♂️😜😎😫
Don’t laugh it’s done on 57 Chevy four doors all the time and with Chevy Malibu reproduction parts it can be done
Not so easy on a Chevelle of this vintage… 2 doors are on 112 inch wheelbase, 4 doors are on a 116 inch wheelbase
My Grandmother drove one of these. It leaked like crazy around windshield and rear window due to rust, a little unusual to see in TN. Her car was dark green with dark green interior.
A neighbor lady had one just like this with automatic in the 80’s.
I was driving a 71 Chevrolet chevelle coupe. No air, no radio, just out of three year storage with 35,000 miles. 1978-1981
Wish I had mine back.
This car is a 5 minute drive from me. My 71 Polara was my great Grandmother’s. 48k miles
You cannot safely drive cars like these as daily drivers anymore. Not safe. In a crash with the high speeds and carelessness of today you will not fare well.
I have a mid 70s car I drive occasionally, carefully, and in good weather.
I would never drive it daily. This is 2018.
I understand on safety as my gas tank was known for spraying you prior to ignition! I put the steel plate behind the seat as some safety but it’s fun to have a four banger pull up beside you with those silly exhaust add ons with a beater type car (civic or Carrolla etc. ) and light up your 60s mustang hipo 289 old school weekend cruiser and look in the mirror to see it chugging.
I think my Mustang on a good day keeping my foot out it gets 14 mpg.
No worries my daily driver is a Prius 48-50 mpg or Cruiser bike that averages 50 mpg.
The wife’s plug in prime runs 30 miles on elec then ⛽️ with short trips avg 95-110 mpg and 58 normal hybrid driving on distance.
Basically earn carbon credits for weekend 😎
It’s safer than a motorcycle.
I have a 454, NOS kit, muncie, and 3.73 12 bolt laying around. Sure would make that a pretty fun family hauler.
1969 Torino 4/D sedan. Crisp, clean handsome, all American. Sorry fellas. Hold your Tomato throwing 2 door cars I find useless. Doors too heavy, bends hinges, have to swing those big doors wide open to exit. Makes parking lots loads of fun. Love this find. Please preserve it!!
For a reasonable price this could make a great driver.It all depends on the rust, of course.
You folks are making me feel realy old. My grandad has been dead for about 90 years. In ’72 I was driving a ’64 Scout and we had ’72 Ramblers for patrol vehicles. Wait… does this mean I’m as old as some of your grandparents? Oh my! LOL!
No title slows the process…
Lovely looking car. Although I was way too young to drive at the time, I remember cars like this.
I’m having flashbacks to when my dad would pick me up in high school in the late 80’s in a ‘71 sedan the same color as this, which later was repainted emerald green but hardly an improvement. I didn’t mind the green but OMMFG the sedan variant is horrendous! I was so embarrassed and would have rather walked home. To make matters worse, one of my friends knew I hated that car and would purposefully announce “hey there’s your dad in that green Chevelle” just to add further insult to injury. I always felt like my adolescent years were robbed of something great because it wasn’t the cooler and much better looking 2-door. As slickb stated, this is only good for the front clip. Strike a match to the rest!
Going down the highway the other day when some dude in a clapped out 4 door chevelle same model as this goes by. Big wheels on the back, dual exhaust and kinda trashed. It did not look cool, it did not look sporty. It looked desperate, like the guy could not afford a 2 door. Not cool when I was in high school, and not cool now. These four doors will always be granny mobiles.
Front clip, entire dash, front seat, maybe trunk lid. Not sure though. Bumpers, drive train, door handles and knobs. About half of a 2 door car looking right at you. Hey the frame might even work. Even if you invested 2500 to put your 2 door chevelle back together, you could save more than double that for repro parts. Quit your griping people.
Great candidate for a daily driver. I drove a ’68 Torino four door for a few years; 302, auto, Brittany blue. A good, solid and dependable car. I don’t agree with Greg that these cars aren’t safe to be driven daily. They were driven safely(mostly) daily back in the day, weren’t they? Maybe the brakes on vintage cars aren’t as good as today’s cars but I wouldn’t go as far as to say they are unsafe.
I’d go through the mechanicals of this ’72 Chevelle and make sure everything was in top shape. Then I’d go grab Grandma and have her take me for a cruise.
Awesome car. Clean it up and drive it!
Yeah Jay, this is something I’d be interested in doing too. It’s a great way
for average folks like me to get into the
hobby without racking up a lot of debt.
This car is very servicable and the fact
that it also has a 3 on the tree makes it
very desirable as ’72 was the last year
GM offered a stick shift in any of its
family car models. Yes, you could still
get a 4 speed, but that was in the 2 door
models only. If it weren’t so damned
far away, it would.be parked at my place
right now!! Great car for someone though.
say, anybody… does the grille look odd to you? Not sure that is a Chevelle grille
It’s a stock unit, but I can see where you’d suspect it was aftermarket. Reminds me of the aftermarket square tubular grilles back in the 80s
I figured it out… it is missing a chrome strip that runs across the middle of the grille , but, you’re right a J C Whitney ” custom” grille
Great candidate for a daily driver. Clean it, repair what needs it, a couple newer safety gadgets (required). Good to go. Maybe upgrade engine to 350, TH350 for some extra oomph.
The hatred for 4 doors is over the top. This car is a rarity that no one will ever see, just because they’re all gone, and all we see are the common 2 doors. Hope someone keeps the car intact.
Oh. To me? 2 door cars are useless. Doors have to swing too wide to get out making parking lots a challenge. Doors are far too heavy, hinges that bend are far too common. Back seats are practically useless. For historical references, 4 door cars are actually what really matters. Other than that? Two door are fine. ;-)
The hatred is justified- it’s all most as hideous as the Nova sedan….
Reminds me of the Chevelle four-door sedan that a buddy’s dad had back around 1970. It was gold and pretty basic, as far as options.
I remember the old guy (and I’m now older than he was when he bought the car!) was pretty proud of it. He used to keep it immaculate.
No, seriously, why are you featuring a plebeian four-door sedan?
Mainly because some folks like them — witness some of the previous comments :-)
I was never really too crazy about 4 doors, but I can definitely see the value in this, would fit in my A body stable for sure!
My aunt’s in laws owned a similar one except in solid green,was the last car they owned before the father in law passed away,the car they owned before that was a ’65 Plymouth Belvedere II four door in light turquoise and my cousin ended up with it for awhile,have seen several similar to it on CL with some crazy prices on them,the latest one is priced at $5k.
The eBay auction ended this morning (Monday, February 12) with the high bid at $1474. I don’t think the reserve was met but I am not sure so I do not know if this extremely rare standard shift Chevelle actually sold. Does the author or Steve R or anybody else know, PLEASE?
My great grandpa had one of these, but when he passed away 8 years ago my grandpa,dad, and great uncle souped it up with a 396 v-8 a turbo 400 transmission, and a four link suspension. It is the ultimate sleeper, as it is a gulf green 4 door, and obviously it is a 72 Chevelle. It is always going to be a family car and I am going to inherut it once i grow up and buy a house.
My grandma drove a black 1969 Buick Wildcat 4 door hard top, when she passed in 1974 car was parked in the basement garage of her house and the door sealed , 44 years later it is still there, crazy aunt Charlotte guards it like a pit bull…… someday it may see the light of day.